Magic House
  • Home
  • Mieszkania
  • Domy
  • Zespół
  • Kontakt
  • Zgłoś swoją nieruchomość

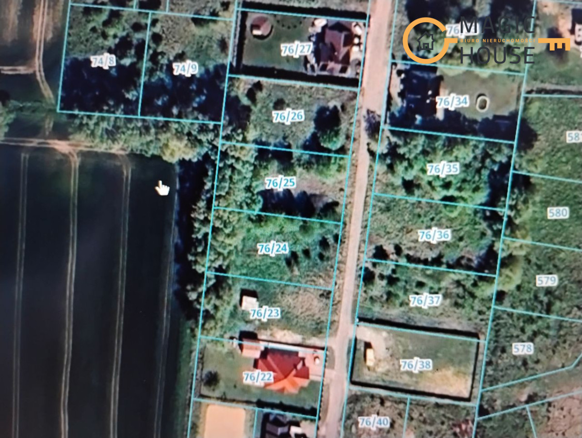
Działka budowlana przy Wyspie Sobieszewskiej

Zakup Działka
476 000zł
389zł / m²
  • Powierzchnia 1222.00 m2
  • Adres Wiślinka/, Klonowa
  • wtórny Rynek
  • Budowlana Przeznaczenie działki

Opis

Na sprzedaż atrakcyjna działka budowlana o powierzchni 1222 m², położona w miejscowości Wiślinka, w gminie Pruszcz Gdański, w bezpośrednim sąsiedztwie Wyspy Sobieszewskiej i w pobliżu nowoczesnego kompleksu Sol Marina.

Działka zlokalizowana jest w spokojnej, dynamicznie rozwijającej się okolicy, w otoczeniu nowych domów jednorodzinnych oraz terenów zielonych. To doskonała propozycja zarówno dla osób planujących budowę domu całorocznego, jak i dla inwestorów szukających miejsca pod zabudowę rekreacyjną lub inwestycyjną.

Media i infrastruktura

  • prąd – na działce,
  • kanalizacja – na działce,
  • woda i gaz – w drodze przy działce.
  • Dojazd do nieruchomości drogą utwardzoną.

Atuty nieruchomości

  • znakomita lokalizacja – zaledwie kilka minut od Wyspy Sobieszewskiej i plaż,
  • bliskość Gdańska i dogodny dojazd do centrum miasta,
  • spokojne, zielone otoczenie, idealne do życia i wypoczynku,
  • sąsiedztwo nowoczesnego kompleksu Sol Marina podkreśla prestiż lokalizacji,
  • teren o dużym potencjale inwestycyjnym.

Działka w Wiślince to wyjątkowa propozycja dla osób ceniących bliskość morza, natury i jednocześnie szybki dostęp do miasta. Doskonałe połączenie walorów rekreacyjnych i inwestycyjnych sprawia, że nieruchomość ma ogromny potencjał rozwoju i wzrostu wartości w przyszłości.

Serdecznie zapraszam do kontaktu oraz na prezentację.

Zadzwoń do nas aby zyskać:

– Czas – przeanalizujemy rynek pod kątem Twoich kryteriów ZA CIEBIE.

– Pieniądze – znamy ceny transakcyjne podobnych nieruchomości.

– Spokój – nasz doradca kredytowy pomoże Tobie wybrać i uzyskać kredyt w jednym z 15 banków ZA DARMO.

– Pewność – nasi specjaliści przeprowadzą Cię przez cały proces zakupu lub sprzedaży nieruchomości.

– Dyskrecję – mamy dostęp i doświadczenie w sprzedaży ofert „spod lady”.

– Uśmiech – mamy 98% zadowolonych Klientów.

– Partnera biznesowego – wielu z naszych Klientów współpracuje z nami długoterminowo.

Zostań w dobrych rękach, skontaktuj się z nami pod numerem 730 800 273 (Oddział Gdańsk) lub 730 600 311 (Oddział Gdynia) i zacznij zyskiwać.

„Wszystkie przedstawione powyżej informacje dotyczące nieruchomości oraz wskazane ceny mają jedynie charakter informacyjny (poglądowy) i nie stanowią oferty handlowej w rozumieniu art. 66 par. 1 Kodeksu Cywilnego”

Podobne oferty

Zakup

Działka budowlana blisko morza w Wiślince

444 850zł

Działka budowlana blisko morza w Wiślince

  • Powierzchnia 1271.00 m2
  • Adres Wiślinka/, Różana
  • pierwotny Rynek
  • Mieszkaniowa Przeznaczenie działki
Opublikowano: 1 miesiąc temu Dowiedz się więcej
  • Instagram
  • Facebook

Kontakt

Gdańsk: 730-800-273
Gdynia: 730-600-311
kontakt@magichouse.pl

Adres

ul. Słowackiego 37D
80-257 Gdańsk
ul. Śląska 53/B104
81-304 Gdynia

Przepisy prawne

  • Regulamin oraz polityka prywatności

Copyright © MagicHouse 2026 | Realizacja Pageart